Commercial
More from realestate.co.nz:
Agents News

New industrial/commercial design

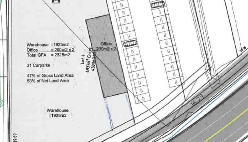
57 Fred Taylor Drive, Westgate

Industrial Premises
dollar

POA

Floor area
2324m2
On this page:

Map

Property details

Listing # 4370096 | Listed on 13 April 2022

"

Located on coveted Fred Taylor Drive corner, directly opposite extensive residential development. This opportunity to secure upmarket commercial or industrial space with retail periphery opportunity should not be missed.


  • Warehouse 1925sqm
  • Office / showroom 400sqm
  • 31 Carparks
  • Completion – mid-2019
  • Plans may be subject to survey adjustment by landlord
"
Your notes
Add notes for your personal reference. This can only be seen by you.
Contact the agent
Name  (required)
Email  (required)
Phone
I'd like to enquire about:
Your message

By continuing, you agree to our terms of use and privacy policy.

A young family with pets illustration