Commercial
More from realestate.co.nz:
Agents News

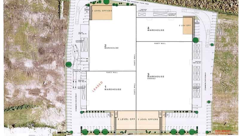
CUSTOM DESIGN AND BUILD, OPTIONS 1,200M² - 5,000M²

2,3,4/29 Westpoint Drive, Hobsonville

Industrial Premises
dollar

Negotiation

Floor area
1200m2
On this page:

Map

Property details

Listing # 79368 | Listed on 13 April 2022

• Available to lease

  • Offering flexible building sizes from 1,200m² up to 5,000m² over 1.5 hectares of land
  • Excellent manoeuvring with drive around access
  • Suitable for a range of industry uses
  • Motorway Exposure

A fantastic opportunity to partner with one of the North Shore/Hobsonville's most respected property development and investment companies who have recently released 1.5 hectares of light industrial zoned land into the market, which is able to accommodate design and build warehouse solutions for tenants ranging from 1,200m² - 5,000m².

The property is located approximately 20 km north west of Auckland's CBD and within easy commuter distance of the CBD and North Shore suburbs.

The property is situated on the northwest side of Hobsonville Road, within close proximity to State Highway 16 and State Highway 18.

A range of large and medium-size companies have committed to relocate their businesses to this industrial area, including Makita New Zealand, JC Sherratt & Co., Autex Industries, National Mini Storage, Mainfreight and Bidfood NZ.

Call the Industrial Specialists at Barfoot and Thompson Commerical today to discuss further.

Your notes
Add notes for your personal reference. This can only be seen by you.
Contact the agent
Name  (required)
Email  (required)
Phone  (required)
I'd like to enquire about:
Your message

By continuing, you agree to our terms of use and privacy policy.

A young family with pets illustration