Commercial
More from realestate.co.nz:
Agents News

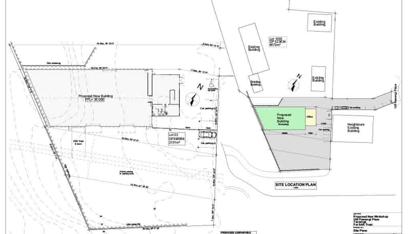
For Lease: Industrial Warehouse & Large Yard

108 Paerangi Place, Tauriko

Industrial Premises
dollar

Negotiation

Land area
2101m2
On this page:

Map

Property details

Listing # TG56866 | Listed on 13 April 2022

- Rental - $139,500 + GST & outgoings

- The lease area is made up as follows:

- Warehouse 541.07sqm

- Lower Floor Offices 73.71sqm

- Office Level 78.82sqm

- Amenities/Stairs 37.69sqm

- Total 731.29sqm with 1524sqm yard

- Construction scheduled to be completed in 2021

- The landlord will consider design changes to suite new occupier

Your notes
Add notes for your personal reference. This can only be seen by you.
Contact the agent
Name  (required)
Email  (required)
Phone  (required)
I'd like to enquire about:
Your message

By continuing, you agree to our terms of use and privacy policy.

A young family with pets illustration