Rural
More from realestate.co.nz:
Agents News

660 Taupo Bay Road,

Blocks from the beach

dollar

Asking Price $365,000 Including GST (if any)

Section
Lifestyle section
Land area
2.02ha
On this page:

Property details

Listing # 2353788 | Listed on 13 April 2022

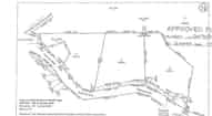
Choose your own lifestyle block in this exceptional location; a brief three kilometres from the white sand beach of Taupo Bay and a short 19 Kilometre drive to the quaint fishing village of Mangonui. Each of these 7 blocks offer elevated build sites, stunning rural views and all day sun with a north to north/west aspect.

Lot 1 $365,000 2.023 ha
Lot 2 $385,000 2.027 ha
Lot 3 $385,000 2.002 ha
Lot 4 $385,000 2.012 ha
Lot 5 $380,000 2.074 ha
Lot 6 $380,000 2.452 ha
Lot 7 $395,000 3.66 ha

Work is ongoing and near completion. Build the home or bach of your dreams in a beautiful rural setting minutes from the surf. First come, first choice! All sections may be sold subject to title (RC 2170033 RMASUB). Additional information available on request. Give Carrie 021 0828 0509 or Alan 027 441 8149 a ring to discuss your options.

Your notes
Add notes for your personal reference. This can only be seen by you.

Schools and childcare in the area

$
$
% p.a.
years
$0 per week
Contact the agent
Name  (required)
Email  (required)
Phone
I'd like to enquire about:
Your message

By continuing, you agree to our terms of use and privacy policy.

A young family with pets illustration